Khu vực Toàn quốc
Bất động sản bán Tất cả
Bất động sản thuê Tất cả
Khoảng giá Tất cả
Diện tích Tất cả
Phòng ngủ Tất cả
Hướng nhà đất Tất cả
Chọn khu vực
  • Toàn quốc
Chọn khu vực
Chọn bất động sản đang bán

Bán Biệt Thự Hẻm Xe Hơi – Nguyễn Súy, Phường Tân Quý, Tân Phú

Thỏa thuận

Thông tin mô tả

Biệt Thự Hẻm Xe Hơi Nguyễn Súy – Nơi Đầu Tư Sinh Lời Tại Tân Phú

Ảnh Bán Biệt Thự Hẻm Xe Hơi – Nguyễn Súy, Phường Tân Quý, Tân Phú 0

Vị trí đắc địa giữa lòng Tân Phú

Thuộc phường Tân Quý, quận Tân Phú, căn biệt thự này nằm trong khu vực dân cư văn minh, yên tĩnh với hẻm xe hơi rộng rãi, dễ dàng di chuyển ra 5 đường lớn và 5 đường nhánh xung quanh. Đây là điểm cộng lớn giúp bạn thuận tiện đi lại cũng như khai thác các tiện ích xung quanh như chợ, trường học, bệnh viện, trung tâm thương mại và công viên xanh mát.

Ảnh Bán Biệt Thự Hẻm Xe Hơi – Nguyễn Súy, Phường Tân Quý, Tân Phú 0

Khu vực sống và tiện ích đa dạng

Phường Tân Quý hòa quyện giữa nét cổ kính của 3 phường cũ và sự phát triển hiện đại của 3 phường mới, tạo nên một tổng thể khu vực sống đầy đủ tiện nghi, phù hợp cho cả gia đình lớn và doanh nghiệp. Ngoài các tiện ích thiết yếu, bạn còn có thể dễ dàng tiếp cận các quận cũ như Tân Bình, Phú Nhuận, và quận 10, thuận lợi cho công việc và học tập của gia đình.

Ảnh Bán Biệt Thự Hẻm Xe Hơi – Nguyễn Súy, Phường Tân Quý, Tân Phú 1

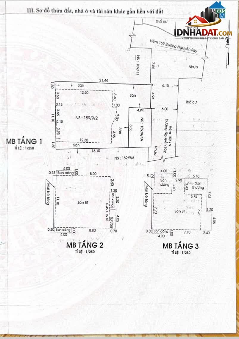
Diện tích công nhận rộng 250m², biệt thự thiết kế 1 trệt 2 lầu sang trọng với 6 phòng ngủ và 3 phòng vệ sinh, phù hợp cho gia đình đông người hoặc làm văn phòng công ty. Đường hẻm xe hơi rộng 5m, rất thuận tiện cho việc đi lại và đậu xe.

Ảnh Bán Biệt Thự Hẻm Xe Hơi – Nguyễn Súy, Phường Tân Quý, Tân Phú 2

Giá bán 25 tỷ đồng – mức giá dễ tiếp cận so với mặt bằng biệt thự khu vực Tân Phú, đặc biệt khi so sánh với các quận lân cận như Tân Bình hay Phú Nhuận, đây là cơ hội đầu tư sinh lời hấp dẫn. Pháp lý rõ ràng, sổ hồng riêng, sang tên nhanh chóng giúp bạn an tâm khi giao dịch.

Bạn đang tìm kiếm không gian sống thoáng đãng, đầy đủ tiện ích và vị trí thuận tiện? Biệt thự Nguyễn Súy chính là lựa chọn không thể bỏ qua. Đầu tư hay an cư đều lý tưởng với dòng tiền ổn định từ việc cho thuê hoặc gia tăng giá trị theo thời gian.

Liên hệ ngay với Tuấn Cuội BĐS – người bạn đồng hành trong hành trình đầu tư thông minh. Đặc biệt, bạn sẽ được hưởng Đào tạo Video Marketing free 100% và tận dụng kinh nghiệm từ đội ngũ đã đào tạo nhiều TikToker, YouTuber thành công trong lĩnh vực bất động sản.

Hãy nhấc máy gọi hoặc gửi căn nhà của bạn để cùng Tuấn Cuội BĐS phát triển đội nhóm sale chuyên nghiệp và khám phá cơ hội mới!

Đặc điểm tin đăng

Mã tin đăng: 8004
Mã bất động sản: 8004
Khu vực: ,
Loại bất động sản:
Kích thước: 4.94x21.44x (Rộng x Dài X Nở hậu)
Diện tích SD: 200-300 m2
Số lầu: 3
Hẻm xe hơi:
Đường/Hẻm rộng: 5+ mét

Thông tin liên hệ

Tên chủ nhà
Số chủ nhà
SĐT Môi giới Hỗ trợ
Trạng thái

Tính lãi xuất mua nhà

Số tiền vay

VNĐ

Thời gian tiền vay

Năm

Lãi suất vay

%/năm

Loại hình vay

Tổng số tiền lãi phải trả

500.000.000 đ

Tổng số tiền phải trả

5.000.000.000 đ

Số kỳ trả Dư nợ đầu kỳ (VND) Gốc phải trả (VND) Lãi phải trả (VND) Gốc + Lãi(VND)
Tổng 0 0
admin-bds
Liên hệ tư vấn



    Ký gửi nhà & làm mô giới BĐS liên hệ Tuấn Anh - 0918 09 85 88

    Mua bán Cho thuê
    Đăng tin
    Đăng ký Đăng nhập